Location: Brighton, East Sussex
Client: Private
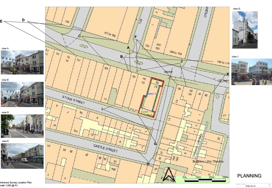
Type: Feasibility Study
Description: Contextual analyses of massing to achieve both financially feasible and realistic planning parameters. Modelling & spatial analysis for financial calculations and risk mitigation.
Role: Drawings, visualisation & correlating area calculations for feasibility





